设为首页
加入收藏

我们先把三角板能够前行的原理作一分析:当用铅笔从侧前方顶压三角板的斜边时,铅笔对三角板的力可以分解为对斜边的压力N和摩擦力f(见图(二)3.12-1),我们 又可以把N分解为沿直尺方向的力F1和垂直于直尺方向的压力F2。在摩擦力f比较小时,可以忽略它的影响,则F2将与直尺作用在三角板上的压力平衡,而F1将推动三角板前进。帆船侧逆风前进的理由与上例类似。图(二)3.12-2为俯视图,控制航向,使风从帆面MN的外侧前方吹来,风吹在帆面上的力可以分解为沿帆面的阻力F1和垂直于帆面的力F2,F2又可以分解为沿航向和垂直于航向的力F′和F′′,F′′主要靠水对船体的横向阻力相平衡,而沿航向的分力F′比船体的纵向阻力(包括F1沿航向的分力)大得多,故船可以沿航向向前航行。

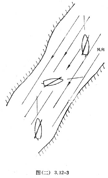
由上可知,帆船能侧逆风前进。为了达到顶风的目的地,帆船必须不断改变航向,走“之”字形,并不断改变帆的方位,如图(二)3.12-3所示。

|